Во вторник утром Петербург окутает туман Синоптики обещают во вторник утром туманную погоду в Северной столице. При этом возможно увеличение числа аварий. 25 сентября 2017 года 13:44
Роскомнадзор заблокирует сайты "зацеперов" Прокуратура потребовала закрыть сайты "зацеперов". Выявлено, что на видеороликах описывают, как правильно производить "зацепинг", который считается запрещенным способ проезда. 25 сентября 2017 года 11:41
Петербург оказался первым в России по числу связанных с наркотиками преступлений В Северной столице больше чем в других городах России совершили преступления связанные с наркотиками. Кроме того, город оказался лидером по некоторым другим преступлениям. 25 сентября 2017 года 11:02
В течение трех дней в Петербурге будет тепло Синоптики обещают настоящее "бабье лето". 25 сентября 2017 года 8:56
Петербург начал тестовое производство инсулина Важный препарат с ноября будут в полном объеме делать в промзоне "Пушкинская". 23 сентября 2017 года 17:57
Первый в РФ центр протонной терапии открыли в Петербурге В следующем году центр сможет принять около 400 пациентов, а затем это число увеличится до 800 в год. 23 сентября 2017 года 13:01
Грабитель вырвал сумочку у женщина на Невском, но не смог убежать от очиведцев Преступник вырвал сумочку у прохожей на Невском проспекте и бросился убегать. Его остановили прохожие, они же помогли вернуть пострадавшей ее имущество. 22 сентября 2017 года 19:00
На субботу в Петербурге объявлен оранжевый уровень опасности из-за заморозков В Северной столице объявили оранжевый уровень опасности. В городе и области возможны заморозки в выходные. 22 сентября 2017 года 17:20
Видео: Руферы бегали от охранников по "Лахта-центру" Двое руферов в очередной раз решили забраться на "Лахта-центр". Им пришлось бегать от охранников, прятаться среди рабочих. Но в конце их все равно задержали. 22 сентября 2017 года 16:13
В Петербурге спустили на воду ледокол "Сибирь": фото и видео На Балтийском заводе в Северной столице в пятницу, 22 сентября. На воду спустили корпус самого мощного в мире ледокола ЛК-60Я "Сибирь", российского проекта 22220. 22 сентября 2017 года 12:53
Визажисты из Петербурга превратили девушек в "знаки зодиака" Ядовитый хвост, синие стрелки, кухонные весы. О том, какие еще атрибуты нужны для оригинальной фотосессии узнал PiterTV у съемочной команды модельного проекта "let's shoot me". 22 сентября 2017 года 12:52
Успеть до субботы: на 23 сентября прогнозируют конец света Американский нумеролог вычислил точную дату конца света. По его словам, 23 сентября Земля перестанет существовать. 22 сентября 2017 года 12:31
Петербуржцы предпочитают заводить беспородных кошек По данным анализа объявлений о продаже кошек оказалось, что у петербуржцев популярностью пользуются беспородные кошки. Они уверенно обошли по числу всех породистых. 22 сентября 2017 года 12:15
"Kingsman: Золотое кольцо": Откуда в США столько клеток? В российский прокат вышла вторая часть британского боевика о секретной службе «Kingsman: Золотое кольцо». Фильм остается верен себе: в нем много шуток, стереотипных изображений разных людей. Кроме того, раз уж это сиквел, то фильм занялся самоцитированием. 22 сентября 2017 года 11:14
В Петербурге 22 сентября пройдут умеренные дожди Синоптики рассказали о погоде на последний рабочий день. 22 сентября 2017 года 8:26
Пожар в Ростове-на-Дону: последние новости В четверг, 21 сентября в гостинице Torn House в Ростове-на-Дону произошел крупный пожар, который повлек за собой человеческие жертвы. В этом материале мы расскажем о последних новостях, связанных с этим инцидентом. 21 сентября 2017 года 19:34
Санация Бинбанка, последние новости: клиенты не могут получить наличные Накануне Бинбанк попросил Центробанк о санации. Позже регулятор подтвердил оказание помощи кредитной организации. 21 сентября 2017 года 19:08
Видео: На Комендантском проспекте горел бизнес-центр В группе "ДТП и ЧП | Санкт-Петербург" очевидцы сообщили о пожаре на Комендантском проспекте. 21 сентября 2017 года 18:39
Видео: машина вылетела с верхнего этажа паркинга на Бадаева Жителей домов на Бадаева напугал страшный инцидент: с восьмого этажа паркинга на землю свалилась машина. Оказалось, что ЧП устроили киношники. 21 сентября 2017 года 15:34
На Дворцовой представили снегоуборочную технику и "железный трон" из веников Комитет по благоустройству представил на Дворцовой площади технику, которая будет обслуживать улицы Петербурга зимой. Кроме того, они обустроили инсталляцию по мотивам сериала "Игра престолов". 21 сентября 2017 года 12:53
Полиция заинтересовалась видео избиения школьницы в Тихвине Полиция Тихвинского района изучает видео избиения школьницы сверстницами. Ранее этот инцидент уже изучали по заявлению матери пострадавшей. 21 сентября 2017 года 12:42
"Ленинград" выложит новый клип в день, когда Путин объявит об участии в выборах Сергей Шнуров пообещал опубликовать новый клип группировки "Ленинград". Видео режиссера Анны Пармас выйдет в день, когда Владимир Путин объявит об участии в ближайших президентских выборах. 21 сентября 2017 года 10:36
В Петербурге премьерный показ "Матильды" прошел с полицией и кинологами В Петербурге прошел закрытый показ нашумевшего фильма "Матильда" в выставочном комплексе "Экспофорум". На него прибыли не только кинопрокатчики, но и сотрудники кинологической службы. 20 сентября 2017 года 22:35
Санация Бинбанка: в организации ввели временную администрацию, в отделениях растут очереди В среду, 20 сентября, стало известно, что Бинбанк попросил санации у Центробанка. Позже днем регулятор подтвердил финансовую поддержку кредитной организации. 20 сентября 2017 года 18:39
Землетрясение в Мексике: последние новости Во вторник, 19 сентября в Мексике произошло жуткое землетрясение. Стихия уже унесла сотни жизней и превратила в руины почти всю страну. В этом материале мы расскажем о последних новостях, связанных со стихийным бедствием. 20 сентября 2017 года 18:36
Депутат ЗакСа отправил "антироссийскому" Моргану Фримену матрешку, ушанку и водку Депутат Законодательного собрания Петербурга Алексей Цивилев отравил актеру Моргану Фримену, который накануне открыл "Комитет по расследованию России", посылку с чисто русскими подарками. 20 сентября 2017 года 17:13
Петербурженка Виктория Хабарова стала самой красивой мамой мира-2017 Россиянка стала лучшей в международном конкурсе красоты в категории "Замужние женщины". 20 сентября 2017 года 14:29
Эксперт: ЧП на "Запад-2017" могло произойти из-за ошибочного нажатия Специалист прокомментировал Piter.tv ситуацию на полигоне Лужский. По его мнению, инцидент больше похож на случайное нажатие исполнительного элемента, а не на технический сбой. 20 сентября 2017 года 14:20
Попрошаек у Московского вокзала облили водой Пользователи соцсетей прислали каналу PiterTV видео, на котором видно как попрошаек у Московского вокзала обливают водой. 20 сентября 2017 года 13:24
Появилось видео последствий ошибочного залпа на учениях "Запад-2017" Очевидец снял на видео последствия взрыва, который произошел после ошибочного ракетного залпа с вертолета на учениях "Запад-2017". 20 сентября 2017 года 10:43
Почта России опровергла наличие вируса в системе В отделениях "Почты России" скопление людей произошло не из-за вируса, а из-за обычного технического сбоя. 20 сентября 2017 года 10:19
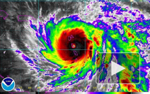
Ураган "Мария": последние новости Волна стихийных бедствий продолжается. На этот раз жителей Доминиканы шокировал ураган "Мария", который за короткое время усилился с категории 1 до категории 5. В этом материале мы расскажем о последних новостях, связанных со стихийным бедствием. 19 сентября 2017 года 20:32
Linkin Park выпустили клип в память о Честере Беннингтоне Linkin Park выпустили клип "One More Light" в память об трагически умершем Честере Беннингтоне. 19 сентября 2017 года 18:12
ЧП с вертолетом на учениях "Запад-2017": что известно на данный момент Сегодня стало известно, что на военных учениях "Запад-2017" произошел инцидент с вертолетом. Самопроизвольно сработала одна из ракет машины и поразила незапланированную цель на земле. 19 сентября 2017 года 18:06
В Петербурге готовят документы, чтобы переименовать переулок в честь рэпера Гнойного Глава округа Екатерингофский Олег Смакотин хочет выступить с предложением о переименовании одного из переулков в Петербурге в честь рэпера Гнойного. 19 сентября 2017 года 16:42